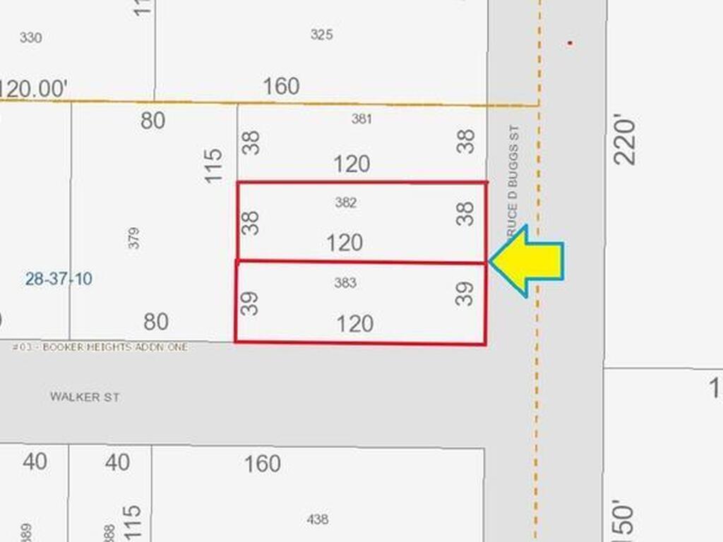
2906-2908 Bruce D Buggs Street
Melbourne, FL 32901
MLS #: 1061112
Property Type: Vacantland
List Date: 11-01-2025
0 Sq. Ft.
Zoning: Residential
Property Description
It's a double lot available in the Booker Heights subdivision of Melbourne! Conveniently located, this cleared corner lot has city water and sewer available, and is only 1 mile - 3 minutes to the Florida Institute of Technology, 1.4 miles - 4 minutes to University Park Elementary School, 3.3 miles - 8 minutes to Melbourne Airport, and 4 miles - 10 minutes to the beaches of Indialantic. From US Highway 1, go west on University Boulevard for .7 miles, and right on Bruce D Buggs Street. The lot will be on your left.
2906-2908 Bruce D Buggs StreetMelbourne, FL 32901
This listing is courtesy of Coldwell Banker Realty.

Real Estate and Luxury homes in Melbourne Beach, Merritt Island, Cocoa Beach, Lansing Island, Tortoise Island, Vero Beach, Barefoot Bay, Cape Canaveral, Cocoa, Grant Valkaria, Indialantic, Indian Harbour Beach, Malabar, Melbourne, Palm Bay, Rockledge, Satellite Beach, Titusville, West Melbourne and surrounding areas in Brevard and Central Florida.
Property Listing Data contained within this site is the property of Brevard MLS and is provided for consumers looking to purchase real estate. Any other use is prohibited. We are not responsible for errors and omissions on this web site. All information contained herein should be deemed reliable but not guaranteed, all representations are approximate, and individual verification is recommended.